Datenexport
In diesem Artikel betrachten wir den Export von Umfrage-Daten aus LimeSurvey sowie den Import in gängige Statistikprogramme.
Aktueller Hinweis: Versionsupdate
Der LimeSurvey-Server der RUB hat ein Update auf LimeSurvey 6 erhalten. Dadurch hat sich die Optik der Benutzeroberfläche deutlich verändert:

Auch funktionell ergeben sich kleinere Änderungen. Wir haben uns darüber bereits einen Überblick verschafft und die wichtigsten Unterschiede in unsere Tutorials eingearbeitet. Sollten Ihnen weitere relevante Punkte begegnen, die wir noch nicht aufgegriffen haben, weisen Sie uns gerne per Mail an methodenzentrum@ruhr-uni-bochum.de darauf hin.
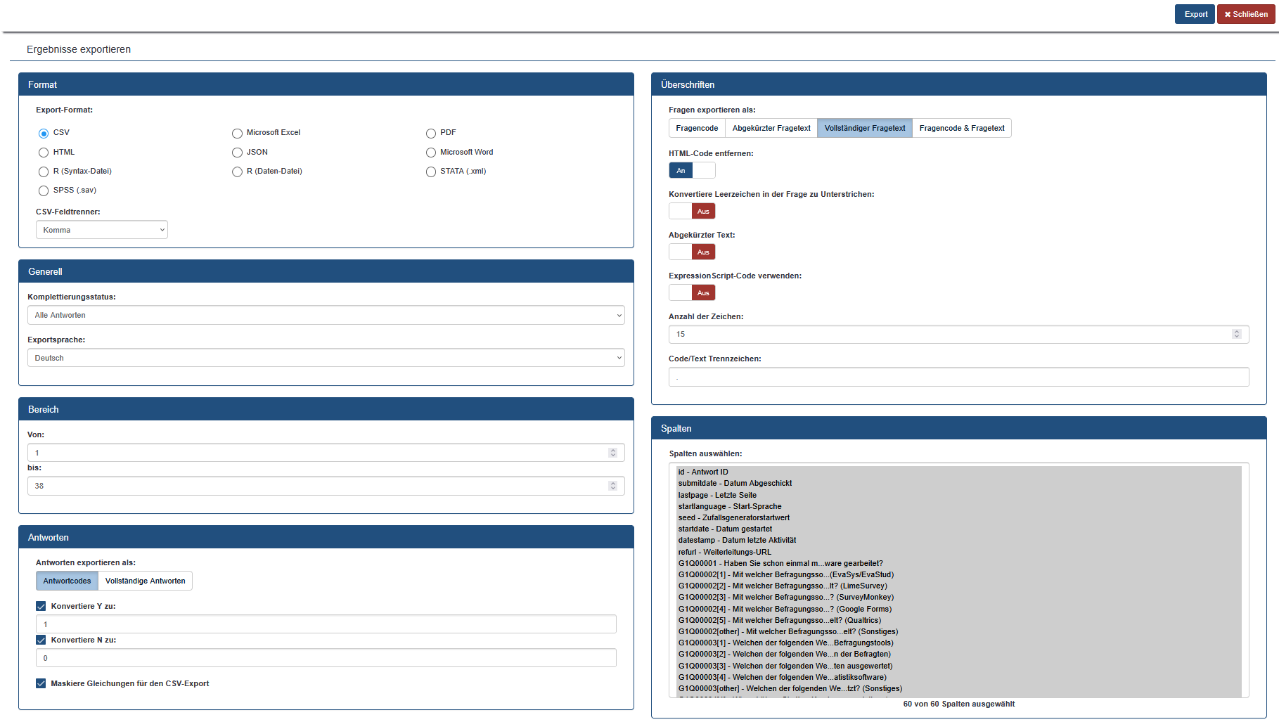
Daten exportieren
Die Daten Ihrer Befragung können Sie in LimeSurvey als Comma Separated Values-Tabelle (.csv-Format), im SPSS-Format (.sav), im Stata-Format (.xml) sowie zahlreichen weiteren Formaten (R, Excel, JSON, PDF, Word) exportieren. Der Datenexport ist im Unterpunkt Antworten im Reiter Einstellungen zugänglich (Button Export in der oberen Zeile). Der darunter aufklappende Auswahlpunkt Antworten exportieren öffnet ein Menü, in dem detaillierte Einstellungen für die zu exportierenden Daten vorgenommen werden können:
-
Unter
Fragen exportieren alskann eingestellt werden, ob Fragecodes, Fragetexte oder Kombinationen der beiden als Variablennamen genutzt werden. -
Die zu exportierenden Variablen können unter
Spaltengewählt werden. -
Es können alle Antworten oder auch nur vollständig beantwortete Fragebögen exportiert werden (unter
Generell)
Für SPSS und R bietet LimeSurvey den Download von automatisch generierten Syntax-Dateien an, die die verwendeten Fragetexte automatisch als SPSS-Labels bzw. Label für Faktorvariablen in R vergeben.
Wenn bei der Fragebogenerstellung den Antwortmöglichkeiten der Fragen direkt geeignete Codes zugeordnet wurden, empfehlen wir im Bereich Antworten den Export der Antwortcodes auzuwählen. Auf diese Weise müssen die Daten nicht manuell umcodiert werden und sind bereit zur Auswertung. Mehr Informationen zur Vergabe von Frage- und Antwortcodes finden Sie in unserem Artikel Befragungen mit LimeSurvey umsetzen. Im Fall von Multiple-Choice-Fragen setzt die Option Antwortcodes lediglich die Buchstaben Y und N für die jeweiligen Antwortmöglichkeiten ein. Durch Auswahl der Kästchen Konvertiere Y zu: und Konvertiere N zu: lassen sich dafür ebenso Zahlenwerte in den Export einfügen. Dies funktioniert nur, wenn gleichzeitig die Option Antwortcodes ausgewählt ist.
In den folgenden Abschnitten beschreiben wir, wie der Export und Import für gängige Statistikprogramme spezifisch abläuft. Die dafür genutzte Umfrage basiert auf der Struktur unserer Beispielbefragung, enhält aber nicht die echten Antworten der Nutzer:innen sondern illustrative Daten.
Microsoft Excel
Um in Excel zu arbeiten, wählen sie das Export-Format Microsoft Excel und öffnen die heruntergeladene Datei. Da sie aus dem Internet stammt, öffnet Excel die Datei zunächst in der geschützten Ansicht. Nachdem Sie die Bearbeitung mit der entsprechenden Schaltfläche aktiviert haben, kann die Auswertung beginnen.
R
Um mit Ihrem Datensatz in R zu arbeiten, exportieren Sie zunächst die R (Daten-Datei) UND die R (Syntax-Datei) und platzieren Sie gemeinsam in den selben Ordner (z.B. Ihr Datenordner oder Arbeitsverzeichnis für R). Um den Datensatz ins Programm zu laden, müssen mehrere Befehle in der Console oder einem Skript ausgeführt werden.
Mit getwd() können wir zunächst überprüfen, was das aktuelle Arbeitsverzeichnis ist. Die Dateien müssen entweder dort abgelegt werden oder mit setwd() der Ordner in dem sie liegen zum neuen Arbeitsverzeichnis gemacht werden. Achten Sie, wenn Sie Windows nutzen beim Einfügen eines Dateipfads darauf, das Zeichen Backslash "\" durch Forward Slashes "/" zu ersetzten, da das Backslash in R als Escape-Zeichen dient und der Dateipfad deshalb nicht richtig gelesen wird.
Ist das Arbeitsverzeichnis richtig gesetzt, wird der Datensatz mit source("Dateiname_syntax_file.R") importiert.
Die Syntaxdatei ordnet jeder Variable den Fragetext als Variablenlabel zu (mit attributes(data)$variable.labels[..] <- "Fragetext") und benennt die Fragen gemäß der im Fragebogen eingestellten Fragecodesn (names()-Funktion). Kategorialen Antwortformaten werden zusätzlich als factor()-Variable definiert, wobei die Antworttexte als Label verwendet werden. Sollen stattdessen explizit die exportierten numerischen Antwortcodes im Datensatz stehen, kann bei der entsprechenden Variablen einfach die Zeile mit dem factor()-Befehl auskommentiert werden.
SPSS
Für den SPSS-Export gibt es in LimeSurvey mehrere Möglichkeiten. Im bisher beschriebenen Menü, über die Schaltfläche Antworten exportieren erreicht, wird ein Export im SPSS-Format (.sav) angeboten. LimeSurvey empfiehlt allerdings einen anderen Weg, der mithilfe einer Syntax-Datei sicherstellen soll, dass keinerlei (Meta-)Informationen verloren gehen. Dafür müssen wir zunächst einen Schritt zurückgehen. In den Umfrageeinstellungen wählen wir erneut den Punkt Antworten und dort den Button Export. Diesmal nutzen wir den darunter aufklappenden Auswahlpunkt Antworten nach SPSS exportieren. Das sich öffnende Menü bietet folgende Einstellungsmöglichkeiten:
-
Unter
Datenauswahlkönnen Sie auswählen, inwiefern vollständig ausgefüllte und abgebrochene Fragebögen in den Export integriert werden. -
Wenn Ihre
SPSS Versionvon IT-Services bereitgestellt wird bleiben Sie hier bei der Standardeinstellung16 oder höher. -
Mit
LimitundOffsetlassen sich gezielt nur die Antworten eines Teils der Befragten für den Export auswählen. Das kann beispielsweise relevant sein, wenn Sie bereits Daten exportiert haben und nur noch die Antworten neu hinzugekommener Befragter exportieren möchten.Limitstellt dabei die letzte Fallnummer dar, die in den Export inkludiert werden soll,Offsetdie erste. -
Wird das Feld
Keine Antwortleer gelassen enthält der Datensatz in Zellen mit fehlenden Angaben den von SPSS für systemdefinierte fehlende Werte verwendeten Code ("."), alternativ kann hier ein numerischer Wert (zb "-99") angegeben werden, der dann nachträglich als fehlender Wert definiert werden kann".
Die folgenden Schritte sind auch in LimeSurvey selbst beschrieben. Exportieren Sie zunächst die Syntax- sowie die Daten-Datei. Öffnen Sie die Syntax-Datei in SPSS. Sie sollten den darin enthaltenen Code sehen. In der Zeile, die mit "FILE=" beginnt, befindet sich bereits der Dateiname der Daten-Datei. Setzen Sie davor den restlichen Dateipfad, entsprechend des Speicherorts der Datei. Dann führen Sie das gesamte Skript aus, indem Sie in der Menüleiste unter Ausführen die Option Alle anklicken.
Unter Umständen öffnet sich daraufhin ein Fenster mit einem Warnhinweis, was aber nicht bedeutet dass der Export gescheitert ist. Die Syntax-Datei enthält für jede Frage im Fragebogen einen VARIABLE LABELS - Befehl, mit dem der im Fragebogen verwendete Fragetext als Variablenlabel im SPSS-Datenformat eingetragen wird. Diese Labels dürfen in SPSS maximal 256 Byte lang sein, weshalb längere Fragetexte zu einer Warnmeldung führen. SPSS kürzt die Fragetexte in diesen Fällen lediglich auf die maximal verarbeitbare Länge.
Der Datensatz öffnet sich in einem separaten Fenster.
Stata
Wählen Sie beim Export zunächst das Format STATA (.xml). Für den Import in Stata nutzen wir den Befehl xmluse. Geben Sie diesen in der Command-Zeile gefolgt vom vollständigen Dateipfad der exportierten Datendatei ein. Nach Ausführen des Befehls werden die Daten importiert und Sie können mit der Auswertung beginnen.
Weitere Artikel
Befragungen mit LimeSurvey umsetzen
In diesem Artikel schauen wir uns die wichtigsten Funktionen von LimeSurvey an, die bei der Erstellung und Durchführung einer Befragung eine Rolle spielen.
Fragetypen
In diesem Artikel gehen wir auf die wichtigsten Fragetypen für Befragungen ein, und erläutern, wie sie in LimeSurvey technisch umgesetzt werden können.
EvaStud und LimeSurvey
In diesem Artikel haben wir die wichtigsten Gemeinsamkeiten und Unterschiede von LimeSurvey und EvaStud zusammengestellt.
Befragungen mit LimeSurvey umsetzen - für EvaStud Nutzer:innen
In diesem Artikel schauen wir uns an, wie die aus EvaStud bekannten typischen Aufgaben beim Erstellen einer Befragung in LimeSurvey umgesetzt werden.
